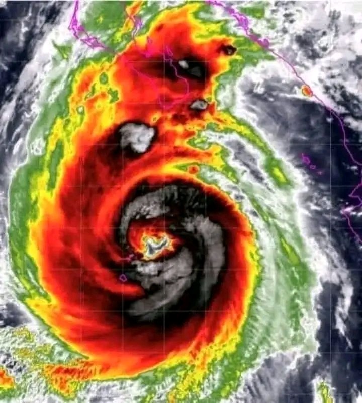
A hurricane bulletin: Last-minuteUpdate as Hurricane Melissa shifts course and heads toward a new path. Forecasters warn residents to monitor advisories, secure property, and heed evacuations if issued. The track remains uncertain, with models guiding possible landfall locations and intensity changes. Stay tuned for updates.
