Curiosities for you
Young woman is hospitalized after being pen…

HIDDEN MONSTERS IN LAKE ILIAMNA? The HIDEOUT that PILOTS…

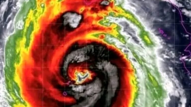
It has already reached category 5 and is heading towards…

#BreakingNews Hurricane Melissa changes course and is heading to…

Police find girl missing since 2022: ‘She was n…

He was in his cell, waiting to be executed, and he asked as a last…

The Invincible Andrew Jones: the man who trained with his heart in a ba…

Nobody imagined what he would do with her. The owner of the estate handed…

A young police officer, after her shift, is filmed while she is…

COVID-19: Global alert as scientists discover new ca…

Next